
IFLScience
shared a link post in group #IFLScience

www.iflscience.com
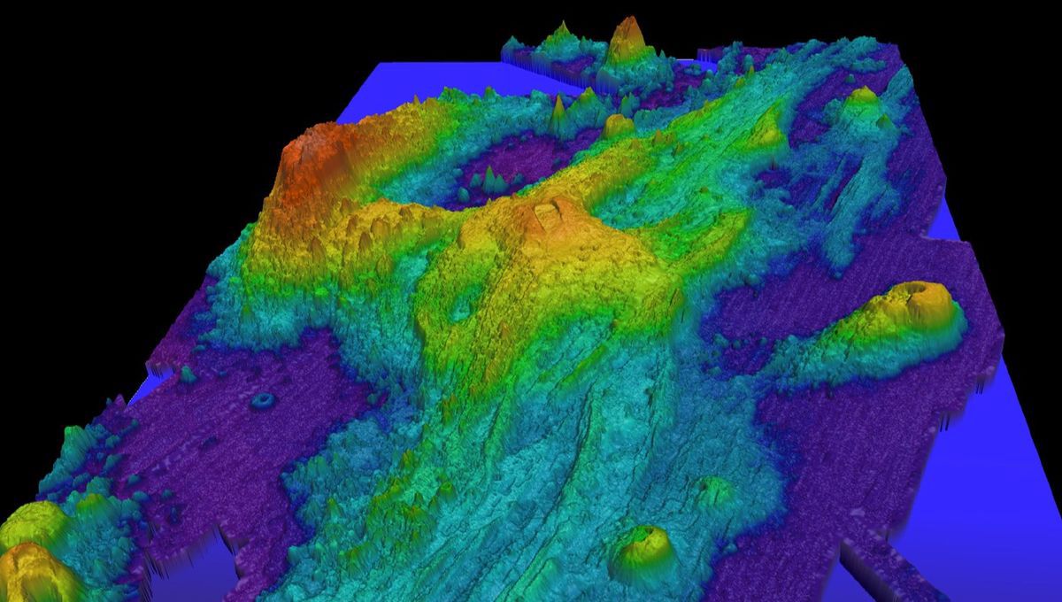
A Giant Volcano Off The Coast Of Oregon Failed To Erupt On Time. Its New Schedule: 2026
“It seems like every time we try to estimate when the volcano might get there, the rate of inflation changes, making our forecast incorrect.”
