
IFLScience
shared a link post in group #IFLScience

www.iflscience.com
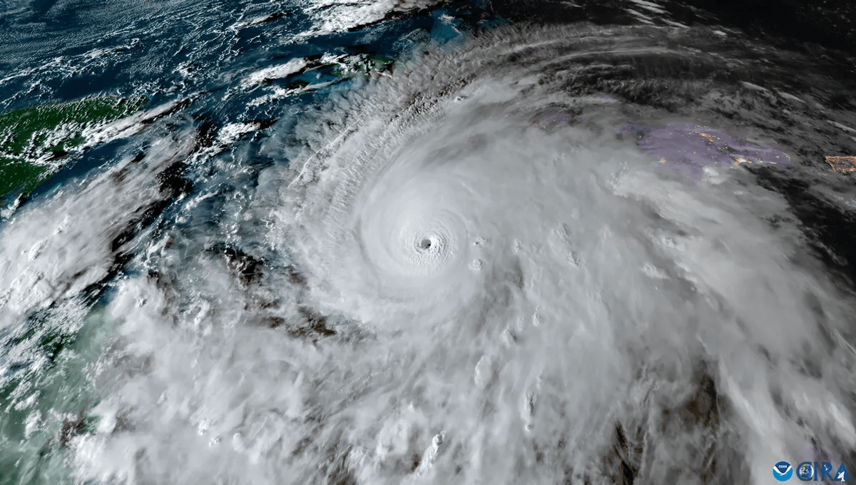
Citizen Scientists Are Helping With Rescue Efforts In Hurricane Melissa's Aftermath – Here's How You Can Too
It is very easy to lend a hand, and you can do it with just your phone.
