
IFLScience
shared a link post in group #IFLScience

www.iflscience.com
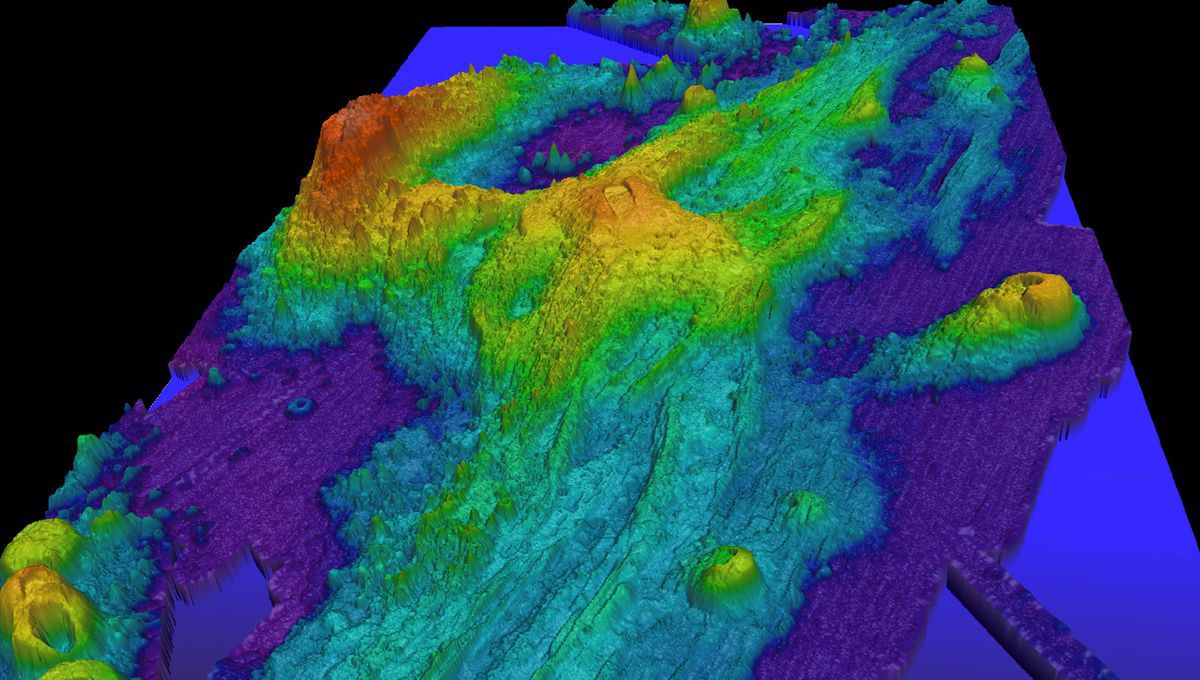
Look Alert: The Most Active Volcano In the Pacific Northwest Is Probably About To Blow, Maybe
Here's why you should not worry.

IFLScience

shared a link post in group #IFLScience

www.iflscience.com
Look Alert: The Most Active Volcano In the Pacific Northwest Is Probably About To Blow, Maybe
Here's why you should not worry.
Comment here to discuss with all recipients or tap a user's profile image to discuss privately.
<div data-postid="bxeedak" [...] </div>