
IFLScience
shared a link post in group #IFLScience

www.iflscience.com
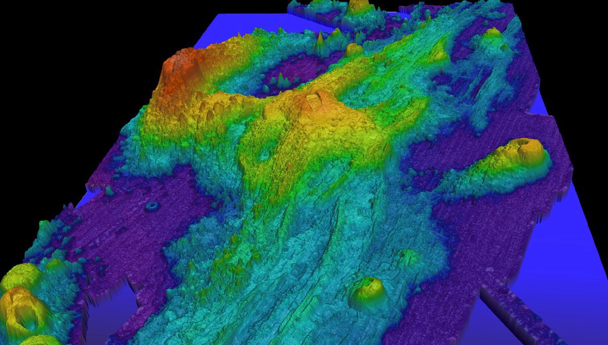
Raising Excitement And Worry, An Underwater Volcano Off The US Coast Is Set To Erupt in 2025
Breakthrough science or deep-sea devastation?

IFLScience

shared a link post in group #IFLScience

www.iflscience.com
Raising Excitement And Worry, An Underwater Volcano Off The US Coast Is Set To Erupt in 2025
Breakthrough science or deep-sea devastation?
Comment here to discuss with all recipients or tap a user's profile image to discuss privately.
<div data-postid="edpaagr" [...] </div>