
IFLScience
shared a link post in group #IFLScience

www.iflscience.com
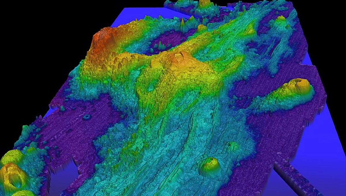
Undersea Volcano Off The US West Coast Predicted To Erupt In 2025
If scientists are right, this would be the first successful long-term prediction of a volcanic eruption.

IFLScience

shared a link post in group #IFLScience

www.iflscience.com
Undersea Volcano Off The US West Coast Predicted To Erupt In 2025
If scientists are right, this would be the first successful long-term prediction of a volcanic eruption.
Comment here to discuss with all recipients or tap a user's profile image to discuss privately.
<div data-postid="xbvevqp" [...] </div>